本文へスキップ

あなたの夢を現実に 西岐阜・岐阜市南西部の不動産のご相談は夢現工房へ

〒500-8381 岐阜県岐阜市市橋1丁目16番10号

物件詳細detail

大垣市鶴見町(売地・No.11420)

 旧国道21号沿いの約238坪!3方道路!建物解体更地渡し!

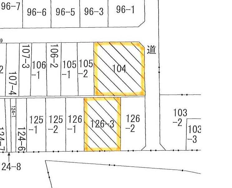
物件写真・図面・地図

※画像をクリックすると拡大します

公図ビル 令和7年11月撮影駐車場 令和7年11月撮影



物件概要

価格 5900万円(坪価24.7万円) 所在地 大垣市鶴見町
交通 鶴見町バス停 歩1分 敷地面積 790.07u(238.99坪)
地目 宅地 土地権利 所有権
都市計画 市街化区域 用途地域 準工業地域
建ぺい率 60% 容積率 200%
前面道路 北 6m 東 6m 南 11m 接面 北約21m 東約22m 南約15m
設備 水道・都市ガス・下水 現況 建物有(解体更地渡し)
小学校区 東小学校 中学校区 東中学校
引渡 相談 取引態様 仲介
備考 ※南向き1筆・北東角地1筆
問い合わせ

まだお済みでない方はお早めに!希望条件登録

西岐阜周辺・岐阜市南西部でお探しなら
↓まずは登録を↓

希望条件登録
お忙しい皆様に代わって
ご希望物件が見つかるまでメールにてご紹介いたします!


↓お奨め物件や不動産関連情報を発信しています↓
ぜひ「いいね!」をお願い致します<(_ _)>



アットホーム加盟店

全国不動産コンサルティング協会